当时.执行完如下图一段程序后的值是( ) A.1 B.3 C.4 D. [解析]C. ∴故选C 查看更多

 

题目列表(包括答案和解析)

10、当a=1,b=3时执行完如图这段程序后x的值是
4

查看答案和解析>>

当a=1,b=3时执行完如图这段程序后x的值是    

查看答案和解析>>

当a=1,b=3时执行完如图这段程序后x的值是 ________.

查看答案和解析>>

a=1,b=3时,执行完如图的一段程序后x的值是(  ).

A.1                                            B.3

C.4                                            D.-2

查看答案和解析>>

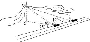
如下图,一辆汽车在一条水平的公路上向正东行驶,到A处时测得公路南侧远处一山顶D在东偏南15°的方向上,行驶5 km后到达B处,测得此山顶在东偏南25°的方向上,仰角为8°,求此山的高度CD.

查看答案和解析>>


同步练习册答案