题目列表(包括答案和解析)

 0  125819  125827  125833  125837  125843  125845  125849  125855  125857  125863  125869  125873  125875  125879  125885  125887  125893  125897  125899  125903  125905  125909  125911  125913  125914  125915  125917  125918  125919  125921  125923  125927  125929  125933  125935  125939  125945  125947  125953  125957  125959  125963  125969  125975  125977  125983  125987  125989  125995  125999  126005  126013  447348 

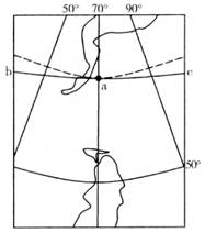
 右图中bac为晨昏线,读图回答第9-11题。

 9.如果图中ab为晨线,按区时计算与a点日期不同的范围是

  A.110°W向西至180°

  B.112.5°W向西至180°

  C.97.5°E向西至180°

  D.67.5°W向东至180°

 10.如果图中ac为晨线,下列说法正确的是

  A.澳大利亚正值小麦收割季节

  B.我国华北平原土壤表层盐份含量最低

  C.南极地区出现“南极臭氧洞”

  D.由斯里兰卡驶向马六甲海峡的轮船逆风逆水

 11.如果黄赤交角减小,图中a点

     A.将向北移动

  B.目前所在纬线的自转线速度将减小

  C.目前所在纬线一年中最长昼与最短昼的差值将减小

  D.目前所在纬线一年中正午太阳高度最大值与最小值的差值将增大

第Ⅱ卷(非选择题,共56分)

试题详情

 下面是冬至日某经线的气温、气压和正午太阳高度变化曲线图,读图回答6-8题。

 6.图中①、②、③曲线分别代表

     A.气温、正午太阳高度、气压  B.气压、气温、正午太阳高度

  C.正午太阳高度、气温、气压  D.气温、气压、正午太阳高度

 7.该经线可能是

  A.30°E       B.120°E

  C.100°W       D.60°W

 8.关于图中①、②、③曲线的叙述,正确的是

  A.曲线①在M处达最小值的原因是受沿岸寒流的影响

  B.这一天,曲线②在全球的分布规律是纬度越高值越小

  C.曲线③在N处达最大值的主要原因是温度低

  D.曲线③的最高值在季节相反的另一半球相应纬度也存在

试题详情

 读下面两区域图,回答3-5题。

   3.图中M、N两河共同的水文特征是

     A.上游多峡谷,落差大        B.水量丰富

  C.水位季节变化大,年际变化小  D.支流少

 4.乙图中①、②两地的自然带及其形成的主导因素是

  A.①地:热带雨林带,纬度   B.①地:热带草原带,地形

  C.②地:热带雨林带,地形   D.②地:热带草原带,洋流

 5.对两图所示地区农业生产的叙述,正确的是

  A.两地农业人口比重大,劳动生产率高

  B.两均是世界天然橡胶、咖啡、香蕉等热带经济作物的最重要产区

  C.甲地水热充沛,农业地域类型主要为水稻种植业

  D.乙地草原广阔,农业地域类型主要为大牧场放牧业

试题详情

 下面是某年我国四个省(区)煤、铁、石油、盐产量占全国总产量比例(%)表,据表回答1-2题。

省(区)
矿产




河北省
5.9
12.7
11.7
3.3
黑龙江省
5.9
0
0.65
31.6
四川省
2.8
8.1
5.1
0.14
M
3.7
0.7
4.3
0.05

 1.表中①、②、③、④代表的矿产依次是

  A.石油、煤、盐、铁    B.盐、石油、铁、煤

  C.煤、盐、铁、石油    D.铁、煤、石油、盐

 2.表中的M省(区)可能是

     A.山西       B.安徽

  C.广东       D.新疆

试题详情

75.两豌豆亲本杂交,按每对相对性状遗传,对其子代的

表现型进行统计,结果如图所示,则杂交后代中,新出

现的类型占的比例为

A.1/16    B.1/9    C.1/4    D.1/3

试题详情

74.下图是某种动物不同细胞分裂的图像,下列与此相关的叙述中,错误的是

      

①        ②         ③          ④

A.只有④所示细胞不具有同源染色体    B.动物的睾丸中有可能同时发现上述4种细胞

C.图③所示细胞状态往往已经发生单体间交叉互换   D.①②③细胞中均含有8条染色单体

试题详情

73.下表是四种人类遗传病的亲本组合及优生指导,正确的是

 
遗传病
遗传方式
夫妻基因型
优生指导
A
抗维生素D佝偻病
X染色体显性遗传
XdXd×XDY
选择生男孩
B
红绿色盲症
X染色体隐性遗传
XbXb×XBY
选择生男孩
C
白化病
常染色体隐性遗传病
Aa×Aa
选择生女孩
D
并指症
常染色体显性遗传病
Tt×tt
选择生男孩

试题详情

72.人的体细胞中有46条染色体,在四分体时期,每个细胞内有同源染色体、四分体、姐妹染色单体的数目依次为

A.23对、46条、92条     B. 23对、23个、92条

C.46个、46个、92个     D. 46个、23个、46个

试题详情

71.下列哪一项选择中可以依次解决①-④的遗传学问题:①鉴定一只白羊是否为纯种;②在一对相对性状中区分显隐性关系;③不断提高小麦抗病品种的纯合度;④检验杂种F1的基因型。

A.杂交、自交、测交、测交      B.测交、杂交、自交、测交

C.测交、测交、杂交、自交     D.杂交、杂交、杂交、测交

试题详情

70.下面是关于基因型和表现型的叙述,其中说法错误的是

A.表现型相同,基因型不一定相同    

B.基因型相同,表现型一般相同

C.在相同的条件下,基因型相同,表现型一定相同

D.在相同的条件下,表现型相同,基因型一定相同

试题详情


同步练习册答案