题目列表(包括答案和解析)

 0  213590  213598  213604  213608  213614  213616  213620  213626  213628  213634  213640  213644  213646  213650  213656  213658  213664  213668  213670  213674  213676  213680  213682  213684  213685  213686  213688  213689  213690  213692  213694  213698  213700  213704  213706  213710  213716  213718  213724  213728  213730  213734  213740  213746  213748  213754  213758  213760  213766  213770  213776  213784  447348 

4、读经纬网图1-23,回答下列问题。

(1)图中A点在B点的___________方向,C点在B点的_________方向,C点在A点的_________方向。

(2)若沿虚线由A点去C点,前进方向的变化过程是___________________________。

(3)B点的地理坐标是_________,位于东西半球中的_________半球,从位于五带中的_________带;C点的地理坐标是_________,们于东西半球中的_________半球,从位于五带中的_________带。

试题详情

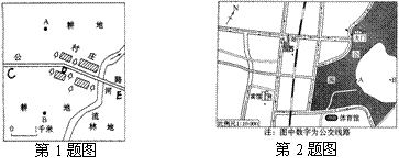
3、读有指向标的地图,回答:

(1)河流流向由_________向_________,然后折向_________方向流。

(2)公路的方向从C沿_________方向到D,然后从D折向_________方向到E。

(3)村庄A在村庄B的_________方向,村庄B在桥梁的_________方向。

试题详情

2、读图,完成下列要求。

(1)在地图上找到宾馆和火车站的位置,火车站在宾馆的什么方向?________________。2路公交线呈什么方向?__________________。

(2)根据地图上的比例尺,算一算宾馆到火车站的直线距离。______________________。

(3)从宾馆到公园应怎样选择最佳公交路线?请说出理由。

_________________________________________________________________________。

(4)假如某一天刮东风,船从A处划向B处,是顺风还是逆风?______________________。

(5)如果划船保持每分钟20米的速度,从A处到B处需要多少时间?________________。

试题详情

1、读图,回答问题。

(1)请将图中线段比例尺转换为数字比例尺:__________________。

(2)图中小河的流向大致是__________________。

(3)根据图中比例尺,量算A、B两地的实地距离是__________________。

(4)一辆车从C地驶往D地到达E地,该车从C→E的行驶方向是先向_________,再向____________。

(5)图中聚落形成的条件有:____________________________________。

试题详情

5.读图1.3-30,完成下列问题:

(1)某建筑师想要建造一幢四周窗户朝北的房子,应建在图中的     点。

(2)E在A的       方向,F在B的      方向。

(3)E在F的      方向,F在G的      的方向。

(4)A在B的      方向。

(5)CE的经度为        ,DF的经度为     

试题详情

4.读图1.3-29,回答问题:

(1)汽车的行驶方向由           出村后再折向     

(2)河流大致流向      方。

(3)村庄在小河的     面,林地在村庄的     面,耕地在林地的     面。

试题详情

3.读图1.3-28,在B山设计了CB、DB两条登山路线.请判断:

(1)沿     线修建公路省力,原因是    

(2)A、B两座山顶之间有高山电览车相通,电缆车的速度是每分钟200米,乘电缆车从B山到A山大约      分钟。(已知比例尺为1:100000)

试题详情

2.读“等高线地形图”(如图1.3-17所示)回答:

(1)若仅从地形方面考虑,请比较从B点爬到山顶A点容易还是从C点爬到山顶A点容易。简述理由     

(2)若自A点沿直线向B点行进,那么行进方向是      ,自A点到C点行进,则行进方向是    

(3)若A点海拔265米,则该点高出B点      米。D点的地形类型是    

(4)据测量,A点到C点的图上距离为2.5厘米,A点到B点的图上距离为1厘米,那么A点到B点的实地距离比A点到C点的实地距离近多少?

试题详情

1.读经纬网图(如图1.3-26所示),回答下列问题:

(1)图中点的经纬度A是     ,D是    

(2)B点属于东、西半球的      半球,位于A点的      方向。

(3)D点位于B点的      方向,A、B、C、D位于S的     方向。

(4)A、B、C、D四个点中,太阳光终年能够斜射的有     ,有极昼和极夜的是    

(5)A、B、C、D四个点中,春分日最先见到太阳的是     ,日落时间最晚是    

试题详情

7.地面高度的计算方法,一般有两种,即          。在等高线地形图上标的高度为     

试题详情


同步练习册答案