0  315352  315360  315366  315370  315376  315378  315382  315388  315390  315396  315402  315406  315408  315412  315418  315420  315426  315430  315432  315436  315438  315442  315444  315446  315447  315448  315450  315451  315452  315454  315456  315460  315462  315466  315468  315472  315478  315480  315486  315490  315492  315496  315502  315508  315510  315516  315520  315522  315528  315532  315538  315546  447090 

12. 王安石的《元日》诗:“爆竹声中一岁除,春风送暖入屠苏。千门万户曈曈日,总把新桃换旧符”。诗中所写的习俗应发生在

    A、元旦节         B、清明节         C、春节           D、元宵节

试题详情

11. 丙区域侵蚀作用强度小于甲区域最有可能的原因是

    A、甲区域几乎无天然植被覆盖

    B、甲区域地形起伏大

    C、丙区域降水多,温度较高

    D、丙区域的人类活动少,植被覆盖率高

试题详情

10. 直接由该外力侵蚀作用形成的地貌有

    A、挪威的峡湾  

    B、黄土高原的沟壑

    C、石灰岩溶洞中的石笋

    D、沙漠中的风蚀城堡

试题详情

9. 当国际标准时为10时24分时,①地太阳高度达一天中的最大值,则①地的经纬度可能为

    A、42°26′N,156°E             

    B、23°26′N,24°E

    C、20°S,24°E                  

    D、46°34′S、156°E

图4为“1950年不同气候条件下的侵蚀强度划分图”,其中甲、乙、丙分别代表大、中、小三种侵蚀强度区域,其中对A区域不作该外力作用强度的划分。据图回答10-11题。

试题详情

8. ④地的最短昼为

    A、8小时21分                    

    B、9时9分  

    C、10小时42分                 

    D、11小时22分

试题详情

7. 四地按纬度由高到低的排列,正确的是

    A、②④①③                        B、③②①④       

    C、④③①②                         D、①③④②

试题详情

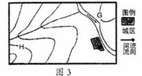
6. 图中G、H的海拔(m)分别为:

    A、0,300                           B、100,400  

    C、100,300                        D、200,300

下表是四地一年中昼长最大差值(R)和正午太阳高度最大值(H)资料。据此回答7-9题。

 




R
2小时26分
24小时
0小时
5小时42分
H
43°26′
46°52′
23°26′
46°52′

试题详情

5. 下列判断正确的是

    A、从图中的H地看不到G地

    B、图中城镇与H地相对高度的最大值为199~200m

    C、该地典型植被为热带雨林

    D、该地河段最主要的补给类型为雨水

试题详情

4. 若坡度从10°增大到15°,则a点的数值将

A、增大                            B、减小         

C、先减小后增大                     D、先增大后减小

   读图3“我国东部某地的等高线示意图”和“该地区的气候资料表”,图中等高线所示高度分别为100m、200m、300m、400m。综合分析后,完成5-6题。

试题详情

3. 该地坡向对地面获得太阳辐射影响最大的季节是

    A、春季           B、夏季           C、秋季           D、冬季

试题详情


同步练习册答案