0  317158  317166  317172  317176  317182  317184  317188  317194  317196  317202  317208  317212  317214  317218  317224  317226  317232  317236  317238  317242  317244  317248  317250  317252  317253  317254  317256  317257  317258  317260  317262  317266  317268  317272  317274  317278  317284  317286  317292  317296  317298  317302  317308  317314  317316  317322  317326  317328  317334  317338  317344  317352  447090 

11. 丙区域侵蚀作用强度小于甲区域最有可能的原因是

    A、甲区域几乎无天然植被覆盖

    B、甲区域地形起伏大

    C、丙区域降水多,温度较高

    D、丙区域的人类活动少,植被覆盖率高

试题详情

10. 直接由该外力侵蚀作用形成的地貌有

    A、挪威的峡湾  

    B、黄土高原的沟壑

    C、石灰岩溶洞中的石笋

    D、沙漠中的风蚀城堡

试题详情

9. 当国际标准时为10时24分时,①地太阳高度达一天中的最大值,则①地的经纬度可能为

    A、42°26′N,156°E             

    B、23°26′N,24°E

    C、20°S,24°E                  

    D、46°34′S、156°E

图4为“1950年不同气候条件下的侵蚀强度划分图”,其中甲、乙、丙分别代表大、中、小三种侵蚀强度区域,其中对A区域不作该外力作用强度的划分。据图回答10-11题。

试题详情

8. ④地的最短昼为

    A、8小时21分                    

    B、9时9分  

    C、10小时42分                 

    D、11小时22分

试题详情

7. 四地按纬度由高到低的排列,正确的是

    A、②④①③                        B、③②①④       

    C、④③①②                         D、①③④②

试题详情

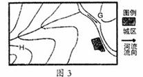
6. 图中G、H的海拔(m)分别为:

    A、0,300                           B、100,400  

    C、100,300                        D、200,300

下表是四地一年中昼长最大差值(R)和正午太阳高度最大值(H)资料。据此回答7-9题。

 




R
2小时26分
24小时
0小时
5小时42分
H
43°26′
46°52′
23°26′
46°52′

试题详情

5. 下列判断正确的是

    A、从图中的H地看不到G地

    B、图中城镇与H地相对高度的最大值为199~200m

    C、该地典型植被为热带雨林

    D、该地河段最主要的补给类型为雨水

试题详情

4. 若坡度从10°增大到15°,则a点的数值将

A、增大                            B、减小         

C、先减小后增大                     D、先增大后减小

   读图3“我国东部某地的等高线示意图”和“该地区的气候资料表”,图中等高线所示高度分别为100m、200m、300m、400m。综合分析后,完成5-6题。

试题详情

3. 该地坡向对地面获得太阳辐射影响最大的季节是

    A、春季           B、夏季           C、秋季           D、冬季

试题详情

2. c图所示地区

    ①降水沿河谷方向递减,说明湿润气流从河流上游吹来

    ②该区的河流以雨水补给为主

    ③降水分布受地形影响小

    ④该区域水量丰富

    A、①②            B、③④           C、②④           D、①③

   图2表示“27°N某地坡向(坡度为10°)对地表获得太阳辐射的影响”,纵坐标表示该地坡面与地平面获得太阳辐射量的比值(仅考虑地球运动和地形因素)。据图完成3-4题。

1月均温
12℃
7月均温
28℃
10℃积温
7400℃
降水量
(mm)
3-5月
460
6-8月
440
9-11月
520
12-2月
160
全年
1580

试题详情


同步练习册答案