题目列表(包括答案和解析)

 0  121648  121656  121662  121666  121672  121674  121678  121684  121686  121692  121698  121702  121704  121708  121714  121716  121722  121726  121728  121732  121734  121738  121740  121742  121743  121744  121746  121747  121748  121750  121752  121756  121758  121762  121764  121768  121774  121776  121782  121786  121788  121792  121798  121804  121806  121812  121816  121818  121824  121828  121834  121842  447348 

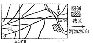
70.图示区域所属的气候类型是                                       (   )

    A.热带雨林气候                    B.热带季风气候

    C.亚热带季风气候                  D.温带季风气候

根据表,完成71-72题。

 
1月平均气温
7月平均气温
X
6℃
30℃
Y
15℃
26℃
Z
6℃
18℃

  71.表中的X、Y、Z与右图中A、B、C的对应关系正确的是                 (   )

    A.X-A;Y-B;Z-C;

    B.X-B;Y-C;Z-A;

    C.X-C;Y-A;Z-B

    D.X-A;Y-C;Z-B

试题详情

69.图中城镇与H地的相对高度的最大值为h。则h为                      (   )

    A.199<h<200      B.289<h<290      C.299<h<300     D.300<h<301

试题详情

68.我国最早出现资本主义萌芽是在                                    (   )

    A.西汉           B.宋元时期       C.时代中后期    D.清代前期

  读“我国东部某地的等高线示意图”,图中所示的所有等高线中,等高距为100m,数值最大的一条为400m。回答69-70题。

试题详情

67.宋代城市中的“市”比汉唐时期有了进一步的突破和发展,主要表现在      (   )

    A.“市”突破了时间和空间的限制       B.早市、夜市昼夜相连

    C.商业区和住宅区不再分开           D.对外贸易有了重大发展

试题详情

66.中国传统农业的主要耕作方式是                                    (   )

    A.刀耕火种        B.铁犁牛耕       C.引水灌溉      D.垄作法

试题详情

65.右侧是一幅政治漫画,画中的法国

人和德国人正在讨论,最后达成的

共识是        (   )

    A.我们太小,实在无奈

    B.他们相争,我们得利

    C.赶快联合,求得生存

    D.各奔东西,争取自保

试题详情

64.马克思主义的产生,与下列哪些国家和地区的历史经验有密切的关系        (   )

      A.美英法         B.英法俄         C.美法德        D.英法德

试题详情

63.在举行公民集会的那天,所有男性公民纷纷涌向一个公共场所,在那里选举与罢免公职人员,并决定是否判处某个公民的死刑。这样的场所应是                           (   )

    A.罗马的元老院                    B.雅典的广场   

    C.美国的国会山                    D.英国的法院

试题详情

62.我国历代王朝为加强中央对地方的管辖,先后推行了各种地方行政管理制度。按照时序排列,以下选项正确的是                                    (   )

    ①行省制          ②州郡县制        ③郡县制         ④道州县制

    A.①②③④        B.③②④①       C.③④②①      D.②④①③

试题详情

61.经济全球化已经成为21世纪世界经济发展的大趋势,极大地推动了生产力的发展,这表现在                            (   )

    ①经济全球化促进了生产要素在全球范围内的流动

    ②经济全球化有利于国际贸易的发展

    ③经济全球化有利于国际分工水平的提高

    ④经济全球化有利于实现各国经济的同步增长

    A.①②③         B.②③④         C.①②④        D.①③④

试题详情


同步练习册答案