0  181362  181370  181376  181380  181386  181388  181392  181398  181400  181406  181412  181416  181418  181422  181428  181430  181436  181440  181442  181446  181448  181452  181454  181456  181457  181458  181460  181461  181462  181464  181466  181470  181472  181476  181478  181482  181488  181490  181496  181500  181502  181506  181512  181518  181520  181526  181530  181532  181538  181542  181548  181556  447090 

10、已知在北半球夏至日时,甲地(40°N、110°E)比乙地(30°N、115°E)白昼长56分钟,则甲地比乙地(  )

A.日出早28分钟                   B.日出早56分钟

C.日落迟20分钟                   D.日落迟48分钟

试题详情

读某日太阳光照图,回答8-9题。

8、一同学在北半球某地图示时间内,利用日影测量当地经纬度,当竖直的竹竿影子朝正北时,正好是北京时间12:20,日影与竹竿等长,则该地的地理坐标是(   )

A.120°E,45°N      B.115°E,35°N      C.120°E,35°N      D.115°E,45°N

9.这一天,甲、乙、丙、丁四地的正午太阳高度分别为80°、60°、40°、20°,那么就纬度位置而言(   )

A.甲地可能在南半球也可能在北半球

B.丙地纬度可能高于也可能低于乙地

C.乙地自转线速度可能小于也可能等于甲地

D.丁地肯定在寒带范围之内

试题详情

7、图中,下列两地间能够开凿渠道自流引水的是(  )

A.从乙自流引水到丙                B.从丁自流引水到乙

C.从戊自流引水到甲                D.从丁自流引水到戊

试题详情

6、图中,甲、乙、丙、丁四地点最可能形成瀑布的是(  )

A.甲           B.  乙          C.丙           D.丁

试题详情

5、图中甲地点陡崖的崖底的海拔高度可能是(   )

A.358米       B.588米       C.688米            D.468米

试题详情

4、一架飞机越过日界线后,发现连续过了两个国庆节(10月1日),这架飞机是(  )

A.自西向东飞行                       B.自西十二区飞向东十二区

C.自东向西飞行                       D.自东十二区飞向西十二区

试题详情

经纬线的交点分别是世界上主要国家境内。据此完成2-3题。

2、图示四个国家中,临太平洋的有(   )

A.甲、乙          B.甲、丙          C.乙、丙          D.丙、丁

3、有关甲、乙、丙、丁四个国家的叙述,正确的是(  )

    A.丙、丁两国的气候都十分干燥

    B.乙、丙两国都是地跨两大洲的国家

    C.甲、乙两国的地形都可以分为西、中、东三大部分

    D.四个国家人口都集中分布在东南沿海地区

试题详情

图中ac、bd为两条经线,ab、cd为两条纬线。读图回答问题。

1、若ac.bd两条经线的度数分别为100°E、150°E,则ab、cd、ac、bd四条线段所取比例尺的大小关系为    (   )

A.ab<cd=bd=ac      B.ab=cd<bd=ac      C.bd=ac>ab<cd      D.ab>cd>bd=ac

试题详情

35、下图为“30°N纬线圈和72.5°E经线”,其中30°N纬线上由10°W向西到155°E为夜半球,同时72.5°E经线上只有CD段处于夜半球。读图回答下列问题。(14分)

(1)此刻,太阳直射点的地理坐标是           。(4分)

(2)图中A地位于C地      方向,此刻,北京时间为     ;30°N纬线圈上既位于夜半球又位于东半球的范围是                  。(6分)

(3)若该日一架飞机在B地日出时起飞,飞往A地降落,途中飞行员始终看到“旭日东升”的景象,则飞机的飞行时间是    小时,飞行员始终看到太阳位于飞机的     方向。(4分)

试题详情

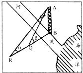
34、某学校地理兴趣小组在一次课题研究活动中,打算研究在不过河情况下,如何利用太阳高度及铁塔影长测算铁塔高度。他们在12月22日测得的正午太阳高度为(如图),而此时北京时间正好为23日0:00。过3个月后,又测得正午太阳高度为,读图回答下列问题。(8分)

(1)该地所处的经度是      ,纬度是      ,所属的国家是    ,图中的海洋为        。(4分)

(2)图中的      。(1分)

(3)塔顶的影子从Q→R伸展,表明太阳直射点向     (南、北)方向移动,长沙地区的昼长逐渐      。(2分)

(4)该兴趣小组计划在2008年来中国现场观看北京奥运会,他若乘飞机沿最短航线的方向直飞北京,则飞机的航程大约为       千米。(1分)

试题详情


同步练习册答案