0  302198  302206  302212  302216  302222  302224  302228  302234  302236  302242  302248  302252  302254  302258  302264  302266  302272  302276  302278  302282  302284  302288  302290  302292  302293  302294  302296  302297  302298  302300  302302  302306  302308  302312  302314  302318  302324  302326  302332  302336  302338  302342  302348  302354  302356  302362  302366  302368  302374  302378  302384  302392  447090 

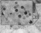
下图是从Google Earth 上截取的世界某地区的卫星图片,图片中每个圆圈面积约200英亩。读图回答6-8题。

6.图片中的圆圈可能属于哪种土地利用方式                        (   )

A.储油罐         B.耕地        C.鱼塘        D.工厂

7.此种土地利用方式与下列哪种环境因素关系最密切                      (   )

A.地形          B.土壤        C.气候        D.地质

8.本区的主要水源最可能来自                              (   )

A.雨水          B.河水        C.地下水         D.淡化海水

答案  6.B  7.C  8.C

试题详情

(2009·江苏常州模拟)RS、GPS和GIS被统称为3S技术,现已在地理学研究领域和国土整治中得到广泛运用。据此完成4-5题。

4.一支地理考察队所用手持式全球定位系统信号接收机显示如下界面,据此判断该考察队可能(   )

地理坐标     39°30′31″N
82°30′50″E
  海拔  1 468m
误差  5.7m

A.在喜马拉雅山测量珠峰高度

B.在柴达木盆地调查地质构造

C.在塔里木盆地勘探石油

D.在河西走廊寻找地下水

5.投资商在某城市内进行大型购物中心区位选择时,可利用该城市的GIS系统作综合分析,调取的主要参考图层是

(   )

A.地形图层和供应商分布图层

B.服务企业图层和通讯图层

C.工业区图层和居住区图层

D.交通图层和人口图层

答案  4.C  5.D

试题详情

判读卫星遥感图像时常使用对比分析法,具体说就是对不同时间、不同地面物体的卫星图像进行对比和分析。如下图,虚实两线分别代表玉米和大豆两种农作物对两种不同电磁波的反射强度(图中符号分别代表播种30、75、100、140天后的农作物反射的电磁波的强度)。读图,回答1-3题。

1.要区分该地区两种农作物的播种面积,要参考的最佳遥感图像应该是拍自播种          (   )

A.30天后         B.75天后         C.100天后      D.140天后

2.该卫星图像可能拍自                                 (   )

A.松嫩平原        B.江汉平原      C.洞庭湖平原       D.太湖平原

3.限制该地农业发展的主要自然因素是                          (   )

A.地势较高,热量不足

B.纬度较高,热量不足

C.地处内陆,水源不足

D.地处沿海,旱涝频繁

答案  1.A  2.A  3.B

试题详情

2.下图是根据遥感照片测算的1986-1996年黄河三角洲陆地面积增减的变化情况。读图回答下列问题。

(1)黄河三角洲陆地面积的增减反映了                  。

(2)说明该期间黄河三角洲陆地面积的增减变化特点。

(3)简要分析导致这一地理现象产生的可能原因。

答案  (1)黄河所携带的泥沙沉积与海水对海岸的冲刷之间的关系(泥沙沉积与冲刷)

(2)1990年前以沉积为主,三角洲陆地面积增大;1990年以后,以冲刷为主,三角洲陆地面积缩小。

(3)上、中游干、支流修建水库、水坝对泥沙的拦截;上、中游用水量增大,或1990年以后降水偏少,使黄河入海水量减小,携沙量下降;上、中游水土保持工作初见成效。

章末检测

试题详情

18.PM10是指大气中直径小于10微米的可吸入颗粒物,它是目前我国各城市大气环境的首要污染物,对城市大气质量起到决定性影响。下图是我国南部某沿海城市(甲)2001年、2002年两年内PM10的观测资料。

材料一  我国南部某沿海城市(甲)四个PM10监测点位置图。四个监测点的编号分别为S11、S71、S72、S73。

材料二  PM10浓度数据的基本统计结果(单位:mg/m3)

监测点
样本数
最大值
最小值
平均值
S11
724
0.162
0.010
0.062
S71
724
0.178
0.006
0.057
S72
725
0.178
0.012
0.061
S73
725
0.220
0.011
0.074

材料三  高空间分辨率遥感影像分类和植被覆盖率数据(%)

监测点
林地
草地
建筑用地
裸地
水体
其他
S11
38.6
14.13
12.33
11.25
23.69
2.24
S71
47.7
11.81
9.33
5.43
25.73
4.03
S72
51.8
10.65
9.86
7.75
19.94
3.55
S73
31.7
24.83
16.95
12.37
14.15
1.93  

材料四  S11点的PM10月平均浓度与主导风向(度)的关系图和PM10月平均浓度与月降雨强度的关系图

(1)S11、S71、S72、S73四个监测点中空气质量最好的是哪一个?说明该点空气质量好的原因。

(2)分析S11点的6-7月PM10平均浓度的特点,并简要分析原因。

(3)根据以上图文材料,简述甲城市PM10浓度时空变化的规律。

(4)要进一步提高甲城市大气环境质量,你认为应采取哪些措施?

答案  (1)S71。原因:S71点生态环境保护好,植被覆盖率较高;建筑用地和裸地面积小,因此PM10的月平均浓度较低,空气质量好。

(2)S11点6-7月的PM10浓度较低。因为6、7月的主导风向为东南风,即由海洋吹向陆地,而S11点正好位于该城市的东南方向,此时由海洋吹来的风带走了大气中的一部分颗粒物,故PM10的浓度较低。

(3)甲城市PM10浓度时间变化规律:雨季PM10浓度较低,旱季浓度较高;空间变化规律:植被覆盖率高的地区

PM10较低,而建筑用地和裸地面积大的地区,PM10的浓度较高。

(4)加强绿化,提高植被覆盖率;降低裸地和建筑用地的面积。

典例展示

读以下资料,回答下列问题。

地理信息系统(GIS)与一般信息系统的主要差别是,GIS所采集的信息是按地理空间分布特征来反映地理实体结构及其动态变化规律的,如我国采用GIS对各地区各时段“非典型肺炎”临床诊断病例、疑似病例等指标分类汇总,在地图上进行“地点”“状况”的位置标定,每日发布各地疫情通报,供有关部门查询、分析,制定相应的防治策略。

(1)根据我国部分省区“非典型肺炎”累计临床诊断病例通报表中的数据(截至2003年5月22日10时),在我国部分省区图的图例空框内,设计区分各病例数值段的图例符号,并在图中山西、湖南两省范围内画出相应的图例符号。

省区
累计病例(例)
北京
2 456
天津
175
河北
227
山西
447
河南
15
陕西
12
重庆
3
湖南
6

(2)试设计一项应用GIS的课题研究项目。

答案  (1)略  (2)如“江汉平原某年水稻长势的监测分析”“中等城市垃圾填埋场选址模式及与交通、环境关系的分析”“油轮在某海域发生大量漏油事故时,预测其污染范围及对海洋生物的影响”等。

抢分热身

试题详情

16.“数字地球”是                                  (   )

A.数字化、信息化的虚拟地球

B.用数字度量地球半径、质量、体积等

C.用经纬网描述的地球

D.“数字城市”和“数字校园”

答案  A

试题详情

2007年4月14日,我国在西昌成功发射第五颗北斗导航试验卫星,标志着我国全球卫星导航系统--北斗卫星导航系统的建设又向前迈进一步。据此完成14-15题。

14.北斗卫星导航系统除能够提供精确的定位、测速外,还能够提供的服务包括            (   )

①授时  ②通信服务  ③农作物长势监测  ④气温异常监测

A.①②          B.③④        C.①④        D.②③

15.在应用地理信息系统进行城市道路规划时,最适合作为基准图件的是             (   )

A.行政区划图       B.人口密度图       C.遥感图像      D.商业分布图

答案  14.A  15.C

试题详情

GIS是用于空间分析的计算机系统,某中学地理学习小组将它作为课题研究。据此完成12-13题。

12.下列四图,是同学们为家乡所作的“自然和社会经济方面的资料分析图”,其中只适宜用GIS数据库软件制作的是(   )

 

13.同学们拟分析家乡人口分布与自然条件的关系,在GIS数据库中,需调用的专题图层有下列中的   (   )

①地形图层  ②土壤图层  ③气候图层  ④人口图层  ?⑤商业?网点图层  ⑥农业图层  ⑦工业图层  ⑧城市图层  ⑨交通图层

A.①②③④        B.③④⑤⑥      C.⑥⑦⑧⑨      D.⑤⑥⑦⑧

答案  12.C  13.A

试题详情


同步练习册答案