0  331706  331714  331720  331724  331730  331732  331736  331742  331744  331750  331756  331760  331762  331766  331772  331774  331780  331784  331786  331790  331792  331796  331798  331800  331801  331802  331804  331805  331806  331808  331810  331814  331816  331820  331822  331826  331832  331834  331840  331844  331846  331850  331856  331862  331864  331870  331874  331876  331882  331886  331892  331900  447090 

风景名胜对旅游者产生吸引力,最主要的原因就是它们具有美学价值。我们应懂得如何欣赏旅游景观的美。据此回答14-15题。

14、“蝉噪林逾静,鸟鸣山更幽”反映了旅游景观的                        (   )

    A.形象美         B.色彩美       C.动态美         D.听觉美

15、桂林山水的观赏,应                                             (   )

    A.乘船游览       B.适当距离仰观   C.登高远望       D.置身其中仰观

试题详情

13、下列有关城市布局形式的叙述,正确的是                             (   )

   A.城市布局形式在城市规划中不是重大问题  B.中小城市只要有条件,就应采用分散疏松式

   C.集中紧凑式布局可以节省城市建设投资   D.分散疏松式布局是城市布局的发展方向

试题详情

文化景观是人地相互作用的产物,通过对它的观察和研究,可以了解人类活动与自然环境的相互关系,探究历史时期自然环境的原貌,认识人类为了生存和发展而对自然环境施加的影响及其作用程度。据此回答9-12题。

9、下列文化景观中不能直接反映当地自然环境特征的是                     (   )

    A.中国虫神庙的分布               B.云南傣家竹楼

    C.我国西北地区的窑洞             D.河南洛阳的龙门石窟

10、现在的北京居庸关具有的文化景观功能有                             (   )

    A.美学功能      B.军事重地功能   C.宗教信仰功能   D.旅游观赏功能

11、下列文化景观将对自然环境产生不利影响的是                         (   )

    A.“三北”防护林带                 B.海南天然橡胶园 

    C.人工草场                       D.沿海地区大量抽取地下水

12、下列文化景观中,违背自然规律,产生环境问题的是                    (   )

    A.南水北调工程            B.天然林保护工程

  C.加固荆江大堤,建设荆江分洪区     D.工业生产中,二氧化碳过量排放,产生温室效应

试题详情

8、下列城市职能与华盛顿相似的是                                     (   )

    A.北京     B.巴西利亚       C.东京       D.新德里

试题详情

7、北京中关村高技术产业区主要考虑的因素是                            (   )

   A.高技术人才密集              B.交通便利 

   C.空气清新、环境优美           D.工业基础雄厚

试题详情

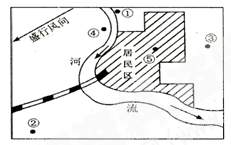
读右图,回答5-6题。

5、 ①地适合建(  )

   A.造纸厂                B.水泥厂 

   C.自来水厂             D.电镀厂

6、化工厂适宜建在   (  )

   A.①处    B.②处     C.③处   D.④处

试题详情

南京夫子庙地区有两千年的历史,屡建屡毁,屡毁屡建,至1983的重建夫子庙地区,融建筑文化、饮食文化、戏剧文化、商业文化于一体,满足人们游憩、娱乐、消费、考古等多层次需求。据此回答3-4题:

3、南京夫子庙地区的城建历史说明了                                   (  )

  A.一个城市早期建筑风格对现代化城市建设会产生不利影响

  B.一个城市早期设立的活动,与后期城市发展活动没有联系

  C.一个城市早期的土地利用对日后城市功能分区有着深远影响

  D.一个城市的历史由于时间流逝,对现代城市的建设不会产生影响

4、南京是我国的历史文化名城,因此                                   (  )

  A.老城保护原貌,不许更动,另建新城

  B.城市建设要全盘继承历史遗产和风格,保持历史风貌

  C.城市建设应另辟蹊径,不受历史古城的影响,需要创新

D.城市改造,要充分考虑在继承的基础上创新,  

试题详情

  右图表示四个国家的人口出生率和死亡率,读图回答1-2题

1、其中人口自然增长率最高的国家是(  )

A、①    B、②     C、③     D、④

2、图中②点所代表的国家最可能是(  )

A、韩国  B、埃及   C、印度   D、尼日利亚

试题详情

3.等电子体原理是指两个或两个以上的分子(或离子),它们的原子数相同,分子(或离子)中价电子数也相同,这些分子(或离子)常具有相似的电子结构,相似的几何构型,而且有时在性质上也有许多相似之处。

(1)SiO32、SO32、NO3三种离子是等电子体,三种离子的几何构型为__________,其中Si、S、N三种基态原子的第一电离能大小关系为_____________________。

(2)C2O42     是等电子体,C2O42离子具有较强的还原性,它能使酸性KMnO4溶液褪色,Mn原子在元素同期表中的位置是__________,外围电子构型为__________。

(3)二原子14电子的等电子体共同特点是物质中都具有共价叁键,请举出相应的3个例子____________________(可以是分子或离子)。每个分子或离子中含_____个σ键,______个π键。

(4)过去生产上常以SiO2为催化剂的载体,它和近十几年来应用日广的AlPO4是等电子体,在AlPO4中 P为   配位氧。SiO2的晶胞可作如下推导:先将NaCl晶胞中的所有Cl去掉,并将Na+全部换成Si原子,再在每两个不共面的“小立方体”中心处各放置一个Si原子便构成了晶体Si的一个晶胞,则一个硅的晶胞中有________个Si原子。再在每两个相邻的Si原子(距离最近的两个Si原子)中心联线的中点处增添一个O原子,便构成了SiO2晶胞,故SiO2晶胞中有_______个Si原子,______个O原子。

试题详情

1.下表是元素周期表的一部分。表中所列的字母分别代表某一种化学元素。

Z
 
 
 
 
 
 
M
L
Q
R
 
 
D
A
 
 
T
X
Y
 
E
 
 
 
 
 
 
 
 
J
 
 
 
 
 
 
 
 

(1)Y分别与D、E形成的化合物中熔点较高是  ▲  (用化学式表示);T、X、Y原子的第一电离能由小到大的顺序是  ▲  (用元素符号表示)。

(2)LX2分子的电子式是  ▲  ,XY2分子是  ▲  (填“极性分子”或“非极性分子”);QY3分子中Q采用  ▲  杂化。

(3)由J、L、R三种元素形成的某种配位化合物,该化合物具有挥发性,化学式为J(LR)4,其中J的化合价是0价。则J原子的核外电子排布式是  ▲  (基态);与配体粒子互为等电子体的离子是;J(LR)4固态时属于晶体(填晶体类型)

(4)由Z、L、Q三种元素组成的化合物,分子式为Z9L3Q,它有多同分异构体(其中Q以三个单键与其它原子相连),写出其中沸点最低的物质结构简式  ▲

(5)A与M组成的一种化AM2,刷新了金属化合物超导   温度的最高记录。右图中所示的是该化合物的晶体结构单元。图中上下底面中心“Δ”处的原子是  ▲  (填元素符号)。

  2.二氧化碳硫(S2Cl2)是广泛用于橡胶工业的硫化剂;其分子结构如右下图所示。常温下,S2Cl2是一种橙黄色的液体,遇水易水解,并产生能使品红褪色的气体。下列说法中错误的是[B]                      

    A.S2Cl2的电子式为

    B.S2Cl2为含有极性键和非极性键的非极性分子

    C.S2Br2与S2Cl2结构相似,熔沸点:S2Br2>S2Cl2

    D.S2Cl2与H2O反应的化学方程式可能为:

2S2Cl2+2H2O=SO2↑+3S↓+4HCl

试题详情


同步练习册答案