0  355139  355147  355153  355157  355163  355165  355169  355175  355177  355183  355189  355193  355195  355199  355205  355207  355213  355217  355219  355223  355225  355229  355231  355233  355234  355235  355237  355238  355239  355241  355243  355247  355249  355253  355255  355259  355265  355267  355273  355277  355279  355283  355289  355295  355297  355303  355307  355309  355315  355319  355325  355333  447090 

16.史学大师钱穆在《国史大纲》中说:“庚子、辛丑以后,国家危机日益暴露,而满洲部族之意识日益鲜明。”这主要表现为清政府

A.实行“新政”            B.实行“预备立宪”

C.罢黜袁世凯             D.镇压革命派

试题详情

15.英国驻华公使朱尔典致函英国外交大臣说:“运动进行的方式有条不紊以及对外国利益所表现的显著尊重,使得它同以前所有此类起事区别开来,并且在中国人中间获得了对它的一定程度的同情,而满清朝廷再也不能声称享有这种同情了。”函中“运动”指的是

A.太平天国运动           B.义和团运动

C.维新变法运动            D.辛亥革命

试题详情

14.清初任源祥说:“天下有不得不鞭之势,张江陵(居正)不过因势而行之。”张居正当时不得不实施一条鞭法的客观形势不包括

A.商品经济发展受阻       B.土地兼并严重

C.农民破产逃亡         D.政府财政匮乏

试题详情

13.《左传》记载公元前493年晋国卿大夫赵鞅在某次战前宣布的誓词:“克敌者,上大夫受县,下大夫受郡,士田十万,庶人工商遂,人臣隶圉免。”赵鞅的这一政策

A.遭到了人民普遍反对        B.导致了战役的失利

C.开创了郡县制度          D.加速了封建制形成

试题详情

12.战国时邹衍用五行相胜说来解释朝代的变更,创立了五德始终说,按他的说法,夏禹是木德,商汤是金德,周文王是火德。秦始皇采用此说,把秦朝定为

A.土德     B.金德     C.水德     D.木德

试题详情

11.下列可能为长江口咸潮成因的是

①中下游地区干旱

②流域内水库下泄流量增加

③全球工业生产排放大量温室气体以及森林植被的逐渐恢复

④天文潮水的顶托作用

⑤作为城市水源的河水用量增加

⑥离岸风的吹拂

A.②③⑤     B.②③⑥     C.①④⑤    D.①③

试题详情

10.我国东部沿海地区最容易发生咸潮的季节

A.黄土高原水土流失最为严重   B.澳大利亚大分水岭东部地区降水量较小

C.南亚地区受台风袭击频率较高   D.美国老年人群往南方迁徙量较大

试题详情

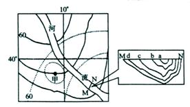
8.下列说法正确的是

A.甲处地下水位比周围高,在此处打井水资源丰富

B.2016年夏季奥运会举办国大部分地区此时草原一片葱绿

C.井口距水面的距离可能为4.5米

D.若只受地转偏向力作用,河床西岸坡度明显大于东北岸

咸潮,又称咸潮上溯、盐水入侵,内河含盐量超过一定标准,水体变咸即形成咸潮,近年来某些河口三角洲地区由于咸潮问题凸显,受到广泛关注。2010年,上海将举办举世瞩目的世博会,“城市,让生活更美好”的主题已深入人心。然而,目前上海的城市供水现状却令人担忧:夏季的用水高峰和冬春咸潮造成全市供水趋紧。而近年,上海先后经受了近10次咸潮侵袭,影响程度为历年之最。据此并结合图4回答9-11题。

图4
 
9.咸潮发生时,长江口以东海区海水的实际盐度最有可能为四条线中的

A.a    B.b   C.c   D.d

试题详情

7.关于图示季节的叙述,正确的是

A.北京某校兴趣小组观察到太阳从正东方升起

B.中山站科考队员看到一天中太阳高度几乎不变

C.天山雪线到达一年中较高处

D.索马里洋流为暖流

试题详情

6.与乙国相比,甲国维持其在世界鲜切花市场竞争力的优势条件是

A.专业化、规模化生产,鲜切花价格较低  B.土地丰富,天然花卉品种较多

C.培植历史久,劳动力成本较低      D.技术含量高,鲜切花质量较优

图3实线为地形等高线,虚线为潜水面等高线,等高距均为5米,甲处为一口水井,右侧标注图为“河流MN剖面的等流速线分布图”。读图完成7-8题。

图3
 
 

试题详情


同步练习册答案