0  337294  337302  337308  337312  337318  337320  337324  337330  337332  337338  337344  337348  337350  337354  337360  337362  337368  337372  337374  337378  337380  337384  337386  337388  337389  337390  337392  337393  337394  337396  337398  337402  337404  337408  337410  337414  337420  337422  337428  337432  337434  337438  337444  337450  337452  337458  337462  337464  337470  337474  337480  337488  447090 

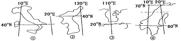
27.读我国“五大长寿于带分布图(图 16 ) ” ,分析回答相关问题。( 10 分)

(1)比较 ② 、⑤两个一长寿带地理环境的差异( 6 分)

长寿带
地形区
代表性农作物
自然带

 
 
 

 
 
 

( 2 )简要说明 ① 地和 ③ 地的城镇分布特点及其区位选择的理由        。(4 分)

试题详情

江苏省徐州市丰县位于江苏省西北部(图 15 )。丰县利用黄河故道引长江水修筑了大沙河水库,并在大沙河沿岸种植苹果,使原先的“风起三尺沙,黄土埋庄稼” 的荒滩成为江苏省重要的水果基地。根据以上资料,完成 25-26 题。

25.丰县在大沙河发展水果生产的主要意义在于

A .防风固沙,涵养水土   B .改善农业结构,增加收入

C .保护生物多样性     D .减弱噪声,美化环境

26.丰县引进一批以苹果等本地农产品为原料的加工企业,这些企业的建立有利于当地

A.加大地区经济差异   B.优化产业结构   

C.改善环境质量     D.稳定农产品市场

试题详情

24.关于图 14 中四个半岛的正确叙述有

A .四个半岛的气候类型均不相同   B .有两个半岛自然带一致

C . ① 半岛附近海域的盐度最高   D .四个半岛均受到暖流的影响

试题详情

读“自然资源利用与社会经济发展示意织”(图 13 ) ,完成 22-23 题。

22.图中甲、乙分别表示

A.海洋资源   B.土地资源   C.煤炭资源   D.矿产资源

23.随着人类社会经济的发展

A.开发自然资源的广度和深度越来越大  B.自然资源对产业布局的影响越来越强

C.利用自然资源的数量越来越少     D.人地关系的认识越来越深刻

试题详情

(二)双项选择题:本大题共 8 小题,每小题 3 分,共 24 分。在每小题给出的四个选项中,有两项是符合题目要求的。每小题选两项且全选对者得 3 分,选错、少选或不选均不得分。1

19.至 2020 年,中国将增建多座核电站。目前浙汀三门核电站、辽宁红沿河核电站、广东阳江核电站和山东乳山红石顶核电站等工程正在全面展升(图 11 )。在这些地区建设核电站的主要原因或目的是

A.这些区域经济友达,科技领先,建站优势明破 B.这些区域资源丰富,交通便利,利于建站

C.有利于级解这些区域能源供应紧张的状况   D.建设核电站成本低且核电清洁、无污染

图 12 为 40°N 附近某地等高线地形图和海平面以下地层示意图。读图完成 20-21 题。

20.如图所示时间, A 河流域

A .正值炎热干燥季节   

B.盛行西北风   

C.受副热带高压控制   

D.山麓落叶阔叶林枝紧叶茂

21.下列关于图示地区地质、地貌的叙述,正确的是

A.向斜成谷    

B.① 处可能找到石油  

C. ③ 处可能形成变质岩   

D. ② 处比 ① 处更易被侵蚀

试题详情

台风是我国的主要灾害天气之一。它严重影响经过海域的交通和渔业,甚至造成人员伤亡登陆地区带来强降雨,并引发洪涝灾害。读我国局部地区图(图11 ) ,结合所学知识完成 17-19 题。

17.甲省是受台风影响最严重的省份之一。甲省是

A.江苏      B.广西

C.福建      D.河北

18.台风中,渔民通过手机发出紧急呼救信号后,能立即得到政府相关部门的救援。政府相关部门所利用的主要地理信息技术是

  ① 地理信息系统 ② 全球定位系统 ③ 遥感技术 ④ “数字地球”系统

A. ② ④    B. ① ②

C. ② ③    D. ① ④

试题详情

图 10为我国某城市功能区空间结构示意图(布局较合理)。读图完成15-16 题。

15.在该城市发展和功能分区中起主导作用的是

A.行政这

B.中心商务区

C.金融区

D.文化区

16.下列因素对该城市功能分区没有产生明显影响的是

A.气候条件

B.经济发展

C.交通运输

D.人口分布

试题详情

北方某地区春夏生产粮食,秋冬利用塑料大棚生产蔬菜,同时开办了大型养猪场。读图8和图9完成13- 14 题。

13.该地的农业地域类型是

A.水稻种植业    B.乳畜业   C.棍合农业   D.商品谷物农业

14.利用塑料大棚种植疏菜可以改善

A.光照条件  B.热量条件 C.降水条件 D.土壤条件

试题详情

图 7 为欧洲传统民居自大西洋沿岸向东至俄罗斯的墙壁厚度的变化规律。据图完成 11-12 题。

11.由英国南部至俄罗斯西部,传统民居墙壁逐渐变厚的主要原因是

A.温差逐渐变小

B.纬度越来越高

C.太阳辐射逐渐减弱

D.气候的大陆性越来越强

12.由英国南部至俄罗斯西部,自然带的变化所体现的规律是

A.由沿海向内陆的分异

B.由赤道向两极的分异

C.非地带性

D.垂直地带性

试题详情

图 6是中国 2000年(灰色区域)和2050年(白色区域)人口年龄性别构成示意图。读后完成9-10 题。

9. 2000 年与 2050 年中国人口年龄性别构成的共同特点是

A.人口自然增长率较高

B.人口老龄化问题突出

C.少年人口男性多于女性

D.人口性别构成合理

10. 2050 年我国的人口状况最可能是

A.人均寿命延长

B.青壮年就业困难

C.环境人口容量变小

D.人口迁移近乎停止

试题详情


同步练习册答案