0  399719  399727  399733  399737  399743  399745  399749  399755  399757  399763  399769  399773  399775  399779  399785  399787  399793  399797  399799  399803  399805  399809  399811  399813  399814  399815  399817  399818  399819  399821  399823  399827  399829  399833  399835  399839  399845  399847  399853  399857  399859  399863  399869  399875  399877  399883  399887  399889  399895  399899  399905  399913  447090 

10.若该旅行团在某日18时40分左右看到“月到中天”,则该日式农历

A.初二                  B.初五

C.初八                  D.十一

答案:C

(09年天津文综第5题)

科考队员在北极点附近某处一天中不同时刻拍摄了太阳照片。观察照片(下图)

太阳位于a所指位置时,拍摄者看到的太阳方位和他所在地的地方时分别是

A. 正北  0:00      B. 正北  12:00

C. 正南  0:00      D. 正南  12:00

答案:A

试题详情

(09年全国卷文综Ⅱ9~10题)

某旅游团希望在杭州西湖欣赏“雷锋(塔)夕照”的同时,也领略“月到中天(月亮高度最大),水面风来”的情境。(注:月球公转周期约为30天,农历初一月球在天空中的视位置最靠近太阳)

9.若旅行团在某日16时左右看到了“月到中天”,则该日式农历

A.初二                  B.初五

C.初八                  D.十一

答案:B

试题详情

37、(共8分)

北亚也称为西伯利亚地区,该地区多北冰洋水系河流,这些河流基本都发生凌汛。

(1)西伯利亚地区河流凌汛多发于什么季节?(2分)

(2)河流发生凌汛的条件有哪些?(6分)

试题详情

36、(共6分)

(1)中亚地区的地表径流少,湖泊有里海、咸海、巴尔咯什湖等,这些湖泊的成因是什么2(2分)

(2)里海盐度H南威北淡”,成因是什么?(4分)  

试题详情

35、(共8分)

(1)西亚和北非石油资源盼睹量种产量在全球具有很高比重,主要分布区是哪些?(4分)

(2)自西亚石油主产区出发的小型油轮取道“地中海一苏伊士运河”航线,油轮吃水深度沿途依次的变化是?(4分)

试题详情

34、(16分)读某区域略图5,回答下列问题

(1)图中A国是发展中国家高新技术产业比较发达的国  家,该国发展高新技术的有利条件是       ,高新技术工业区主要分布在该国南部的     ,其布局类型为       。德干高原东北部煤、铁、锰等矿产资源丰富,以此为基础布局的工业是典型的    型。

(2)图中B国大部分地区属于      气候,该国主要的灌溉水源是       ,该河孕育的古文明的文字是       ,B国首都        是以履行

         职能为主的城市。

(3)图中C国经常受到洪涝灾害的袭击,试从自然方面分析其容易出现洪涝灾害的原因            

                           

(4)图中D是         地区。

试题详情

33、(17分)读图4,结合有关知识回答问题:

(1)图中的山脉是我国            山脉的延伸。

(2)A是         河,该河下游流域栽培有世界著名的“浮稻”(该稻谷可随水位涨落漂浮),浮岛反映了该河的水文特点是              。这种特点的形成原因是                             

(3)B城市所在的匡家积极引进外资。计划在该市新建的工业区应布局在该市的     位置,下列外商投资企业最适宜在该国发展的是

A、钢铁厂          B、服装加工厂       C、石油化工厂     D、造船厂

(4)B城市所在的国家近年来吸引大批中国游客到此旅游,该国优越的旅游资源是     

                                     

(5)本区被称为“花园城市”的国家        。本区居民大多信仰      教。该宗教文化传入本地的主要方式是         扩散。

(6)该地区有大规模的热带经济作物种植园,目前大规模种植的著名的两种作物是

A、天然橡胶          B、油棕                             C、烟草        D、香蕉

试题详情

32.(17分)读图3,回答问题

(1)B点所在半岛的地势特点是       ,判断的依据是        .位于该半岛的高原是              .该半岛城市、人口主要集中在         沿岸,主要原因是                .

(2)A、B、C三地在气候上的相同点是      

         ,不同点是       

(3)A点所在国的最大平原是       。该国的传统民  居多用质地较轻的建材建成,其目的是          。该国从C点所在国进口的农作物有              等,其主要的贸易对象是        、      等。

(4)D工业区是         ,其主导工业部门是         ,与之属于同一布局类型在本区典型的还有我国            

(5)影响F城市形成的主要区位因素是        ,供应该城市粮食消费的商品粮基地是                    

试题详情

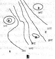
31. (共10分)

读“某地区等温线分布图2”回答下列问题:

(1)图中气温最高的是    点,最低的点是     

(2)若在B附近有座高山,与外圆的相对高度为2000米,则   山顶的温度约为     ℃。

(3)E点气温可能是       

(4)若B处为陆地,D处为海洋,两地都在北半球,则所  处的季节应是         

(5)若两地都位于南半球,而且是在1月份,则B、D两处是海洋的为           

试题详情

30. 下列地跨两洲的亚洲国家是

    A. 埃及             B. 哈萨克斯坦 

    C. 印度尼西亚       D. 俄罗斯

试题详情


同步练习册答案