0  339992  340000  340006  340010  340016  340018  340022  340028  340030  340036  340042  340046  340048  340052  340058  340060  340066  340070  340072  340076  340078  340082  340084  340086  340087  340088  340090  340091  340092  340094  340096  340100  340102  340106  340108  340112  340118  340120  340126  340130  340132  340136  340142  340148  340150  340156  340160  340162  340168  340172  340178  340186  447090 

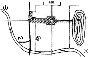
33.读某城市简图。当地夏半年盛行东南风,冬半年盛行东北风。完成下列要求。(4分)

 

图中①、②、③、④四地中,合理建厂选址是:水厂在    ,污水处理厂在   

重型机械厂在      ,印刷厂在     

试题详情

32.某地理研究性学习小组对城市的住宅、商店、办公楼、工厂的地租进行调查,结果如下表所示。分析并完成下列问题。(共11分)

与市中心的距离(公里)
地租(元/平方米)
   A
   B
   C
   D
   0
   120
   105
   84
   68
   1
   90
   87
   75
   62
   2
   60
   70
   66
   56
   3
   31
   52
   56
   50
   4
   0
   35
   47
   45
   5
   0
   18
   37
   39
   6
   0
   0
   28
   34
   7
   0
   0
   18
   28
   8
   0
   0
   9
   22
   9
   0
   0
   0
   17
   10
   0
   0
   0
   11
   11
   0
   0
   0
   6
   12
   0
   0
   0
   0

(1)A、B、C、D分别对应的土地利用方式是(4分):

     A        ;B         ;C       ;D        。

(2)根据上表数据,分别绘画A、B、C、D地租曲线。(4分)

(3)根据上图,请指出该城市的中心商贸区、住宅区、工业区的范围。(3分) 

   中心商贸区:      住宅区:       工业区:

试题详情

31. 根据A、B两国的人口金字塔图,回答下列问题(6分)。

(1)儿童占有较高的人口百分比的是__________国(1分)。

(2)若A国的人口仍无法控制地迅速增长,20年后,该国面临的主要困难问题有

________________________________________________(2分)。

(3)若B国人口按现有趋势发展,且它是发达国家,该国的就业人口主要从事第________

(1分)产业的工作。若干年后该国面临的问题主要有①____________________(1分),

②__________________(1分)。

试题详情

30.在干旱、半干旱地区由于灌溉不合理会导致

A.沙漠化     B.水土流失     C.土壤次生盐碱化  D.风蚀严重

第Ⅱ卷  综合题(共40分)

试题详情

29.新疆的棉花产量高、质量好的主要自然原因是

A.降水量丰富,有利于棉花生长      B.种植历史悠久,生产经验丰富

C.太阳辐射强烈,昼夜温差大       D.土壤疏松肥沃,灌溉水源充足

试题详情

下图为“某地区城镇与公路建设图”,a城是该图地区保存最为完好的明清时期的县城,它有完整的城墙和街巷、店铺、庙宇、民居组成的大型古建筑群。连接城镇a,b,c与沿海大城市d的公路建成以后,a,b,c都有一定的发展,其中b城发展最快,a城发展最慢。读图及相关文字,回答26-28题。

26.a城至今能保留大量古建筑群的主要人为原因是

A.气候干燥,降水稀少,外力作用

c
 
b
 
微弱

B.运用中西方建筑技术和先进材料,

经久耐用

C.交通闭塞,受外部影响小,城镇

a
 
发展缓慢

D.巨额旅游收入投入其保护维修

27.a城最主要的旅游价值是

A.美学价值    B.历史文化价值  

C.科学价值    D.经济价值

28.b城到d城的公路未走直线,而是绕

道经过c城的主要原因是

A.远离河流,避免洪水灾害的影响   B.排除了跨越不同行政区域的影响

C.为了减缓公路坡度      D.尽量多经过城镇,加大运输量

试题详情

25.下列旅游路线中具有观海岸地貌、文化旅游、沙漠探险等旅游内容的线路是

A.成渝线--成昆线             B.京哈线--京广线

C.沪杭线--浙赣线--湘黔线--贵昆线   D.陇海线--兰新线--南疆线

试题详情

大香格里拉地区的主要部分位于青藏高原向川西台地和云贵高原过渡地带,地处四川、云南、西藏三省区的“金三角”地区。目前,3省区将联合投资500亿元,使中国西南角成为世界精品旅游景区之一。据此回答23-24题。

23.“峡谷幽深,峻岭逶迤”是对大香

格里拉地区地形特征的真实写照,

对这一景观的欣赏应

A.选择观赏位置

B.把握观赏时机 

C.抓住景观特点        

D.领悟自然与人文的和谐

24.大香格里拉旅游资源丰富,自然景

色独特迷人,下列旅游资源在该区

能见到的是

A.皑皑的雪山     B.奔腾的河流  

C.寂寂的戈壁荒漠  D.浓郁的民族风情

试题详情

22.下列旅游景观中属于同一组的是             

①泰山  ②黄山  ③西湖  ④日月潭  ⑤九寨沟  ⑥秦始皇陵  ⑦故宫  ⑧华山

   A.①②⑧       B.③④⑥     C.③④⑤        D.①⑤⑦

试题详情

2010年世界杯足球赛在南非举行,这不仅是体育界的盛会,也是文化交流的盛会。回答20-21题。

20.比赛期间各国文化在此交流,此文化传播的主要方式属于    

A.等级扩散     B.传染扩散    C.文化传承      D.刺激扩散

21.更多的人在电视等媒体里感受到世界文化的丰富多彩,此种文化传播方式属于 : 

   A.迁移扩散      B.传染扩散   C.等级扩散       D.刺激扩散

试题详情


同步练习册答案