0  316271  316279  316285  316289  316295  316297  316301  316307  316309  316315  316321  316325  316327  316331  316337  316339  316345  316349  316351  316355  316357  316361  316363  316365  316366  316367  316369  316370  316371  316373  316375  316379  316381  316385  316387  316391  316397  316399  316405  316409  316411  316415  316421  316427  316429  316435  316439  316441  316447  316451  316457  316465  447090 

某企业集团计划新建有色金属冶炼厂。图7为甲、乙、丙、丁四地的成本分析图(单位相同),读图回答17-18题。

  图8

17.从企业生产的经济成本考虑,最适宜建厂的地点是

A.甲     B.乙     C.丙       D.丁

18.该企业集团最终选择在乙地建厂,最主要原因可能是乙地

A.接近原料产地和市场         B.经济、社会、环境效益好

C.交通便利、劳动力丰富        D.不会对环境造成污染

试题详情

图7为哈尼族梯田生态系统示意图,这一结构被文化生态学家盛赞为江河--森林--村寨--梯田四度同构的人与自然高度协调的、可持续发展的、良性循环的生态系统。完成15-16题。

   图7

15.维持这生态系统“人与自然高度协调的、可持续发展的、良性循环”的关键是

A.江河         B.森林       C.村寨      D.梯田

16.哈尼族人的村寨在半山腰的梯田上方

A.可以减轻劳动强度             B.为了避免洪涝灾害

C.可以获得清洁的水源            D.为了观赏梯田美景

试题详情

读我国某区域等高线地形图(虚线表示拟建的公路线,图5),回答11-14题。

11.图中主要河流的流向为

A.从西南流向东北   B.从东北流向西南   C.从北流向南   D.从南流向北

12.若在甲、乙两城镇之间修建一条公路,有A线和B线两个方案,B线方案与A线方案相比,主要的有利条件是

A.线路较短,工程量小      B.坡度较平缓

C.不用修大型桥梁,少占耕地   D.连接多个居民点,社会效益大

  图5

13.图示区域的综合开发,有以下四种方案,最合理的是

A.山上植茶树,山下种稻麦

B.山上修梯田,种经济林,山下种蔬菜、花卉,养奶牛

C.山上建设水源林,山下种甜菜

D.山上修梯田,建水库,山下发展种植园农业

14.若a、b、c分别表示农业生产投入要素中的劳动力投入、生产资料投入、科技投入(不考虑其它因素),则图6中四点最能体现图5农田所示的农业地域类型特点的是( )

   图6

A.①     B.②    C.③    D.④

试题详情

读图4,回答8-10题。

图4

8.图中①地的自然带为

A.热带草原带   B.亚热带常绿硬叶林带  C.温带落叶阔叶林带  D.热带荒漠带

9.如果一艘油轮在图中⑤处发生石油泄漏事故,泄漏的石油随洋流扩散的方向为

A.向西南扩散    B.向北扩散     C.向西北扩散  D.向西扩散

10.图4 ①-④地中,从自然因素考虑,最适合修建太阳能电站的是

A.①地      B.②     C.③      D.④

试题详情

某学校地理兴趣小组做了如下实验:做两个相同规格的玻璃箱(如图3),甲底部放一层土,中午同时把两个玻璃箱放在日光下,十五分钟后,同时测玻璃箱里的气温,结果发现底部放土的比没有放土的足足高了3℃。回答6-7题。

图3

6.该实验主要目的是测试

A.大气的温室效应           B.大气的热力运动  

C.一天中最高气温出现的时刻      D.大气主要的直接热源

7.甲箱气温比乙箱气温高的原因是

A.太阳辐射强弱差异          B.地面辐射强弱差异  

C.大气吸热强弱差异          D.大气辐射强弱差异  

试题详情

图2是某地岩层水平分布图,据图回答4-5题。

图2

4.下列四幅剖面图与沿ab剖面线的剖面图一致的是

A          B          C          D

5.图中甲处地形与地质构造的组合正确的是

A.山谷--背斜   B.山脊--向斜    C.山谷--向斜   D.山脊--背斜

试题详情

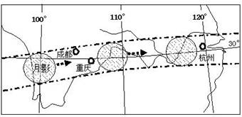
2009年7月22日,我国部分地区出现了罕见的日全食天象。日、月、地三者位于同一直线,月影刚好投影在地球表面,且自西向东扫过我国的长江流域,形成日全食观察带(如图1)。读图1回答1-3题。

图1

1.图中月影自西向东移动的原因是

A.地球自西向东自转          B.月球自西向东公转

C.月球自西向东自转          D.地球自西向东公转

2.成都与杭州日全食的相关描述正确的是

A.成都开始晚、持续时间长         B.成都开始早、持续时间短

C.杭州结束早、持续时间长        D.杭州结束晚、持续时间短

3.这一天,某旅游团在重庆的金佛山欣赏到了罕见的“日全食”天文奇观。当日,重庆的昼长为M(小时),则下列哪一天重庆昼长最接近24-M(小时)

A.2月22号   B.5月22号   C.10月22号   D.11月22号

试题详情

24. (本题满分14分)已知矩形ABCD中,AB=4,对角线BD=2AB,且BE平分∠ABD,点P从点D以每秒2个单位沿DB方向向点B运动,点Q从点B以每秒1个单位沿BA方向向点A运动,设运动时间为t秒,△BPQ的面积为S.

  (1)若t=2 时,求证:△DBA∽△PBQ;

  (2)求S关于t的函数关系式及S的最大值;

  (3)在运动的过程中,△BQM能否成为等腰三角形,

若存在,求出t的值;若不存在,请说明理由.

试题详情

23. (本题满分12分)研究表明一种培育后能繁殖的细胞在一定的环境下有以下规律:若有n 个细胞,经过第一周期后,在第1 个周期内要死去1个,会新繁殖(n-1)个;经过第二周期后,在第2 个周期内要死去2个,又会新繁殖(n-2)个;以此类推.例如, 细胞经过第x 个周期后时,在第x 个周期内要死去x个,又会新繁殖 (n-x)个.

周期序号
在第x周期后细胞总数
1
n-1+(n-1)=2(n-1)
2
2(n-1)-2+(n-2)=3(n-2)
3
3(n-2)-3+(n-3)=4(n-3)
4
 
5
 
……
……

(1)根据题意,分别填写上表第4、5两个周期后的细胞总数;

   (2)根据上表,写出在第x周期后时,该细胞的总个数y(用x、n表示);

(3)当n=21时,细胞在第几周期后时细胞的总个数最多?最多是多少个?

试题详情

22. (本题满分10分)已知:如图△ABC内接于⊙OH,过A点的切线与OC的延长线交于点D0.请求出:

(1)的度数;

(2)线段AD的长(结果保留根号);

(3)求图中阴影部分的面积.

试题详情


同步练习册答案